Main content
Hurricane Melissa Crosses Jamaica and Heads Towards Cuba
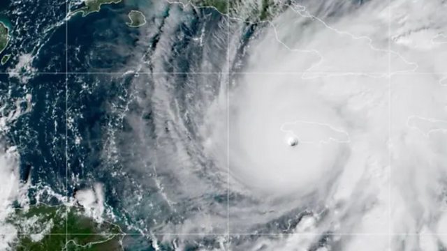
Hurricane Melissa has crossed Jamaica as the strongest storm to hit the Caribbean nation in modern history.
Hurricane Melissa has crossed Jamaica as the strongest storm to hit the Caribbean nation in modern history.